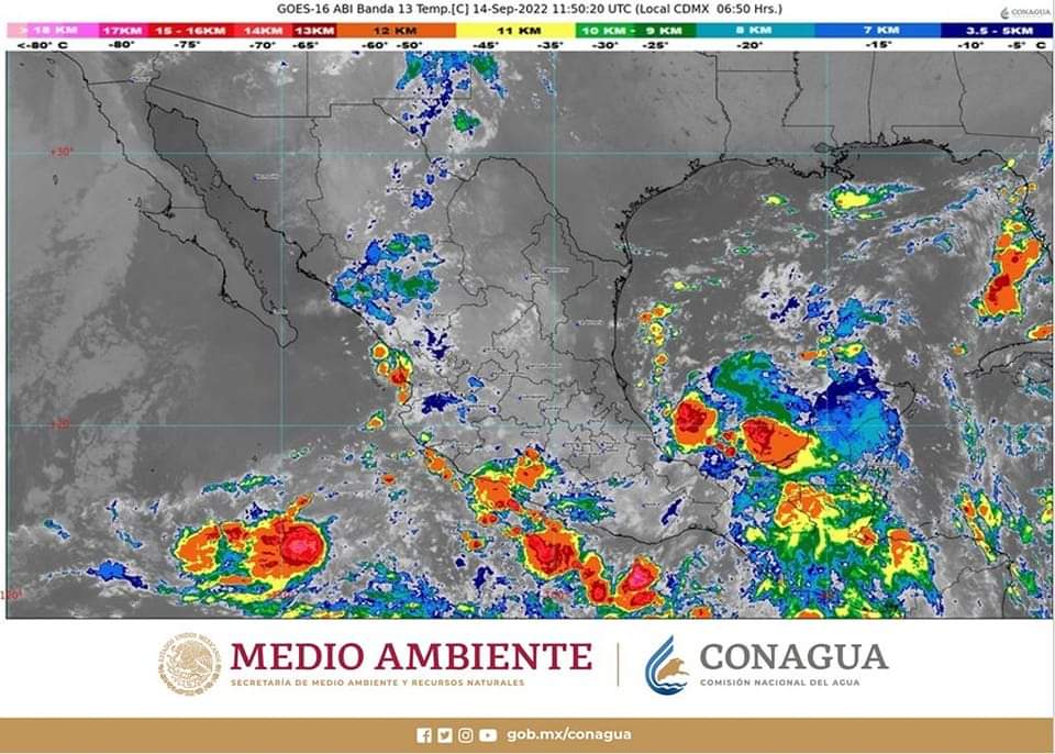
Acapulco, Gro., 14 de septiembre de 2022.- El Gobierno Municipal informa a la población que, este día, un canal de baja presión sobre el suroeste del Golfo de México y el sureste del país, en interacción con el ingreso de aire húmedo procedente del Mar Caribe y con la vaguada monzónica que se extenderá muy próxima a las costas del Pacífico Sur Mexicano, originarán lluvias puntuales intensas en Guerrero, Oaxaca y Chiapas.

El su reporte matutino el Servicio Meteorológico Nacional (SMN), indica que las precipitaciones serán acompañadas de descargas eléctricas y fuertes rachas de viento.

Por dichos pronósticos el Gobierno Municipal recomienda a la población extremar precauciones y estar pendientes de los avisos que emitan las autoridades de Protección Civil.

Las autoridades mantienen la vigilancia de una zona de baja presión en el Océano Pacífico, que mantiene 30 por ciento de probabilidad de desarrollo ciclónico en 48 horas.

El Gobierno de Acapulco recomienda a la población ubicar rutas de evacuación y refugios temporales más cercanos, guardar documentos en bolsas plásticas y tenerlas a la mano, así como almacenar agua embotellada y comida enlatada, además de una linterna y radio con baterías.

Asimismo, se ponen a disposición de la ciudadanía los números 911 y 072, así como las líneas telefónicas de Protección Civil 744 440 7031 y 744 485 6170.

Loading

Por adminweb

Plataforma informativa que renace de una tradición periodística con más de 40 años de experiencia. Medio cuya identidad social es la búsqueda de un periodismo crítico opinativo, marcando la diferencia con otros medios de comunicación; es decir, ser una Alternativa en el Periodismo de Guerrero.

Ultima Hora de Guerrero