*Pide Gobierno Municipal extremar precauciones y estar pendiente de los avisos oficiales que emitan las autoridades de Protección Civil*

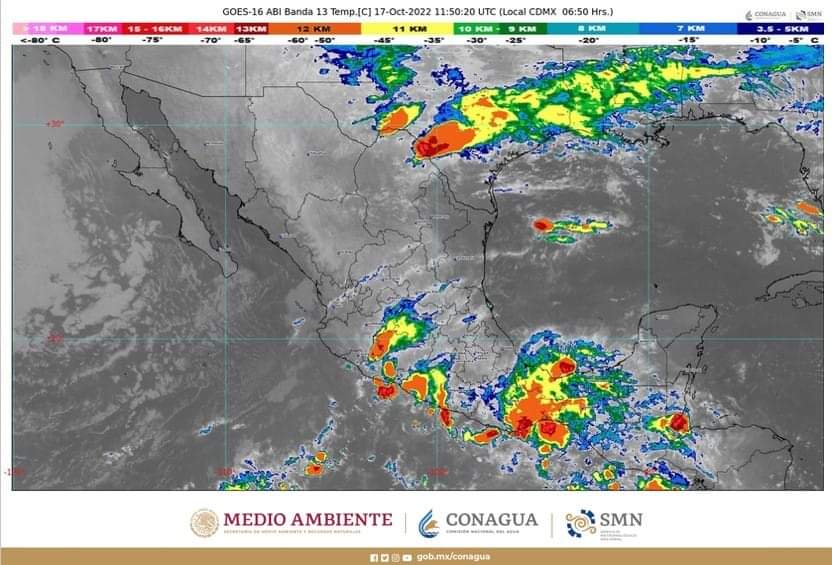
Acapulco, Gro., 17 de octubre de 2022.– Debido a que la onda tropical número 27 se desplazará sobre el sureste mexicano, gradualmente sobre el oriente y sur del territorio nacional, en combinación con el ingreso de humedad del Golfo de México y Mar Caribe, generarán durante el día, lluvias muy fuertes en Guerrero y Chiapas.

De acuerdo al informe matutino del Servicio Meteorológico Nacional (SMN), las lluvias podrían estar acompañadas de descargas eléctricas y fuertes rachas de viento.

El Gobierno Municipal recomienda a la población extremar precauciones y estar pendiente de los avisos que se emitan.

Asimismo, le recuerda a la ciudadanía que la temporada de lluvias finaliza el próximo 30 de noviembre, por ese motivo se recomienda a quienes habitan en zonas consideradas de riesgo y alto riesgo, ubicar las rutas de evacuación y refugios temporales más cercanos, guardar documentos en bolsas plásticas y tenerlas a la mano, así como una linterna y radio con baterías para estar atentos de los avisos que se emitan.

En caso de emergencia se ponen a disposición los números 911 y 072, así como las líneas telefónicas de Protección Civil 744 440 7031 y 744 485 6170.

Loading

Por adminweb

Plataforma informativa que renace de una tradición periodística con más de 40 años de experiencia. Medio cuya identidad social es la búsqueda de un periodismo crítico opinativo, marcando la diferencia con otros medios de comunicación; es decir, ser una Alternativa en el Periodismo de Guerrero.

Ultima Hora de Guerrero