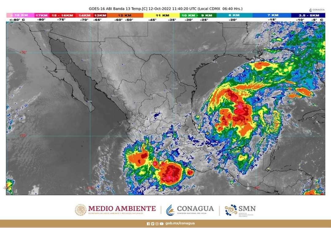
Acapulco, Gro., 12 de octubre de 2022.- Las bandas nubosas de la tormenta tropical “Karl”, localizada sobre el Golfo de México, en interacción con la entrada de humedad generada por una zona de baja presión con potencial ciclónico ubicada al sur de Oaxaca, ocasionará lluvias muy fuertes (de 50 a 75 mm) en Guerrero y otros estados.

El Servicio Meteorológico Nacional (SMN) indica que las precipitaciones podrían acompañarse de descargas eléctricas, vientos fuertes, por ello el Gobierno Municipal reitera el llamado la población a extremar precauciones.

Por indicaciones de la presidenta municipal, Abelina López Rodríguez, personal de Protección Civil mantiene vigilancia sobre la zona de baja presión situada en la cuenca del Pacífico, que tiene el 20 por ciento de probabilidad de evolucionar a ciclón tropical en 48 horas.

El SMN indica que el fenómeno está asociado con los remanentes de lo que fue la tormenta tropical Julia, se ubicó esta mañana aproximadamente a 120 km al sur-suroeste de Puerto Escondido, Oaxaca.

El Gobierno Municipal recomienda a la población permanecer en sus hogares y evitar salir de casa si no es necesario, así como vigilar los niveles de ríos, arroyos y evitar cruzarlos, de igual manera alejarse de zonas propensas a deslaves e inundaciones.

De la misma manera, se le recuerda a la ciudadanía principalmente a quienes habitan en zonas consideradas de riesgo y alto riesgo, ubicar las rutas de evacuación y refugios temporales más cercanos, guardar documentos en bolsas plásticas y tenerlas a la mano, tener a la mano una linterna y radio con baterías para estar atentos de los avisos que se emitan.

En caso de emergencia se ponen a disposición los números 911 y 072, así como las líneas telefónicas de Protección Civil 744 440 7031 y 744 485 6170.

Loading

Por adminweb

Plataforma informativa que renace de una tradición periodística con más de 40 años de experiencia. Medio cuya identidad social es la búsqueda de un periodismo crítico opinativo, marcando la diferencia con otros medios de comunicación; es decir, ser una Alternativa en el Periodismo de Guerrero.

Ultima Hora de Guerrero