*Piden autoridades tomar precauciones por evento de mar de fondo con oleaje de 1.5 a 2.1 metros.

Acapulco, Gro., 03 de junio de 2022.- Se prevén precipitaciones en el puerto por la presencia de varios sistemas que afectan a Guerrero, por lo que el Gobierno de Acapulco, a través de la Coordinación General de Protección Civil, exhorta a la población a mantenerse atenta de los avisos que se emitan, así como tomar las precauciones correspondientes.

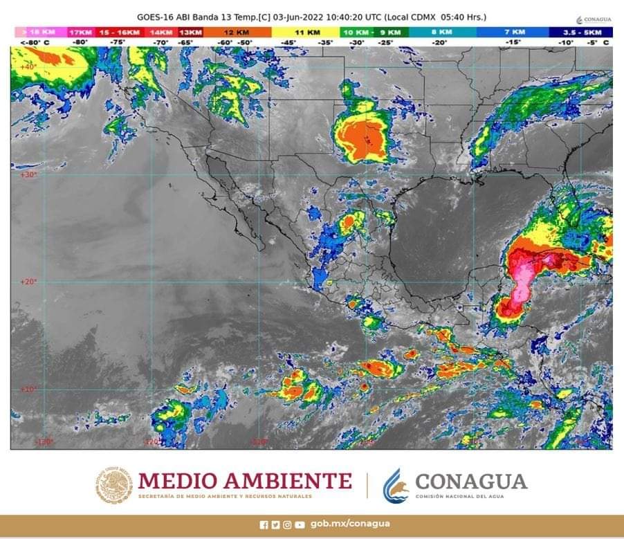
De acuerdo con el reporte matutino que emitió el Servicio Meteorológico Nacional (SMN), se prevén Intervalos de chubascos con lluvias puntuales fuertes en Guerrero y para la región Acapulco se pronostica un cielo de medio a nublado con probabilidad de ocurrencia de precipitaciones y tormentas locales aisladas de moderadas a fuertes.

Lo anterior, por la presencia del potencial Ciclón Tropical “Uno” ubicado frente a la costa noreste de Quintana Roo, que continuará su movimiento hacia el noreste y sus bandas nubosas mantendrán la probabilidad de chubascos y lluvias puntuales fuertes, además de fuertes rachas de viento, sobre la Península de Yucatán, además de la vaguada monzónica cercana a las costas de Chiapas y un canal de baja presión, los cuales ocasionarán lluvias puntuales muy fuertes en Chiapas, así como chubascos y lluvias fuertes acompañadas de descargas eléctricas sobre el sur y sureste mexicano.

Asimismo, hay un canal de baja presión, que se mantendrá sobre la Sierra Madre Occidental y el centro del país, aunado al ingreso de humedad del Océano Pacífico y Golfo de México, generarán chubascos y lluvias puntuales fuertes acompañadas de descargas eléctricas; y una circulación anticiclónica en niveles medios de la atmósfera, mantendrá el ambiente vespertino cálido a caluroso sobre gran parte de México, y muy caluroso con temperaturas que pudieran superar los 40 °C en Baja California, Sonora y Sinaloa.

Se informa a la población que prevalecerá el evento de mar de fondo con oleaje de 1.5 a 2.1 metros, de la línea de costa hasta las 200 millas náuticas con un periodo de 18 a 20 segundos, desde la costa de Chiapas hasta la costa de Sinaloa, incluyendo al Estado de Guerrero, recomendando a bañistas y pescadores tomar sus precauciones.

El Gobierno de Acapulco le recuerda a la población que la temporada de lluvias comprende del 15 de mayo al 30 de noviembre, exhortándola a guardar documentos personales en bolsas plásticas, ubicar rutas de evacuación y refugio temporal más cercano, así como tener a la mano linterna, radios con baterías y en caso de una emergencia comunicarse a los teléfonos 911 y 072.

Loading

Por adminweb

Plataforma informativa que renace de una tradición periodística con más de 40 años de experiencia. Medio cuya identidad social es la búsqueda de un periodismo crítico opinativo, marcando la diferencia con otros medios de comunicación; es decir, ser una Alternativa en el Periodismo de Guerrero.

Ultima Hora de Guerrero